1. 서 론
블록식 안벽은 항만구조물 건설에 많이 사용되는 중력식구 조체로 경제적이고 소형의 장비로 시공되는 장점을 가지고 있다(Ministry of Oceans and Fisheries, 2017). 하지만 다른 안벽구조체, 예를 들면 케이슨 안벽에 비하여 활동에 대한 안정성이 다소 떨어지는 구조체이다. 블록식 안벽이 과거에도 많이 적용되었고 현재도 소규모 어항이나 항에 많이 적용되는 구조체로 시공 전, 후 활동파괴 문제가 빈번하게 발생되고 있다. 이로 인해 구조물 복구하는데 막대한 예산이 매년 반복적으로 소요되고 있고, 공사를 발주한 발주처와 시공하는 시공사 및 설계사 간 분쟁이 계속되고 있는 실정이다. 블록식 안벽의 기능상실 사고는 설계에서 예측하지 못한 배면 매립재의 특성 변화로 인한 잔류수위의 문제, 기초하부지반의 개량 부족, 미개량 층의 침하 등이 주 원인이다. 하지만 블록식 안벽 구조체가 자체적으로 가지고 있는 내적인 문제점도 있다.
기존의 블록식 안벽의 경우 블록은 전단키만을 가지고 블록구조체별 결합 없이 개별적으로 사석마운드 상부에 놓인 형태로 중력식 옹벽처럼 자체 중량과 그로 인한 마찰력으로 수평 외력에 저항하는 메커니즘을 가지고 있다. 큰 수평 외력이 작용하는 경우에 개별 블록 구조체의 활동이 쉽게 발생하는 경향이 있다(Hwang et al., 2018). 그것은 블록상호의 결합이 충분하지 못하므로 개별 블록이 활동에 취약하고 블록 하부지반의 부등침하 발생 시 블록간 이격으로 인한 틈새 발생 우려가 크기 때문이다. 그래서 외력에 대한 안정성을 키우기 위하여 블록식 구조체 자체의 단면을 증가시켜 중량을 키워 마찰력을 증가시키는 방법을 적용하였다(Ministry of Oceans and Fisheries, 2017).
블록식 안벽이 활동문제를 가지고 있지만 지금까지 이 문제에 대하여 체계적인 연구는 미흡한 실정이다. 다만 최근에 말뚝을 결합한 블록식 안벽에 대한 관심이 늘고 있다. 이 공법은 블록을 수중에서 상하좌우로 현장 타설 말뚝을 이용하여 결속시킨 후 블록 전체의 일체화 거동을 통한 단일 구조물 형성으로 장대 케이슨 효과를 가져오는 공법이다(Kang et al., 2021; Kim, 2021). 말뚝을 결합한 블록식 안벽이 기존 블록식 안벽의 활동 문제를 줄여줄 수 있는 대안으로 볼 수 있다. 다만 이 새로운 공법에 대한 깊이 있는 연구는 아직 미진한 실정이다.
본 연구에서는 지금까지 체계적으로 규명하지 못한 블록식 안벽의 활동문제에 대하여 유한요소해석을 통해 블록식 안벽의 변위에 영향을 미치는 여러 요소에 대하여 검토하였다. 특히 일반 블록식 안벽과 말뚝을 결합한 블록식 안벽을 해석대 상으로 선정하여 말뚝의 결합유·무, 말뚝의 근입깊이, 안벽 배면 잔류수위, 상치콘크리트 유·무, 그 외 블록과 사석에 대한 마찰 영향 등을 살펴보았다. 수치해석에서 블록식 안벽의 하부지반은 심층혼합처리공(DCM)으로 충분한 강성이 있는 것으로 설정하였다.
2. 기존 연구
Kim(2021)과 Kang et al.(2021)는 기존 블록에 수평저항력을 증가시킬 수 있는 말뚝이 결합된 블록식 구조체에 대한 여러 실내모형실험을 수행하였다. 모형실험을 위하여 Iai(1989)의 상사법칙 제2형태를 적용하고 1/35.71의 스케일로 축소 모형을 제작하여 실험을 진행하였다. 블록의 수평저항력을 산정하기 위해 실험말뚝의 근입깊이는 0H(말뚝이 블록내에서만 근입되어 있는 경우), 1H(사석층까지 근입되었을 경우), 2H(사석 높이만큼 원지반 속에 근입된 경우) 그리고 3H, 4H 깊이 만큼 근입한 경우에 대하여 진행되었다(H: 사석층높이, 4.3 cm). Fig. 1은 말뚝의 근입깊이에 따른 말뚝으로 보강된 블록의 수평저항력 실험결과로 수평저항력이 말뚝의 근입깊이가 깊어짐에 따라 증가함을 보여준다.
Lee et al.(2022)은 Kim(2021)과 Kang et al.(2021)의 실내 모형실험에 대하여 수치해석을 실시하여 결과를 서로 비교· 검토하였다. 지반구성모델을 Mohr-Coulomb 모델을 적용한 경우에는 수평변위 1.0mm의 탄성영역에서는 실내모형실험과 유사하나, 이후 소성경화구간의 거동이 거의 나타나지 않아, 실내모형실험을 모사하는데 한계가 있어 Fig. 2에서 보는 바와 같이, 탄성-소성경화거동을 모사하기 위해 지반구성모델을 비선형 거동이 가능한 Modified Mohr-Coulomb 모델을 적용하였다. 그 결과 소성경화구간에서도 수평저항력-변위 그래프가 실내모형실험결과와 유사한 거동을 보이는 것으로 해석되었다.
3. 수치해석
3.1 수치해석 모델 및 적용 지반 물성치
본 연구에서는 유한요소(Finite Element Method)에 근거한 해석 프로그램인 Midas/GTS를 이용하였다. 본 연구에 사용된 지반 및 사석층의 구성모델은 Modified Mohr-Coulomb 모델이다. 이 모델의 구성방정식은 비선형탄성모델과 탄소성 모델을 조합한 것으로 실트나 모래질 지반의 거동특성에 적합한 모델로 전단항복과 압축항복이 서로 영향을 미치지 않는 이중 경화거동을 모사할 수 있다. 이 모델은 Lee et al. (2022)의 기존 연구를 참고하여 선정하였다. 콘크리트블록 및 말뚝은 응력이 변형율에 직접적으로 비례하는 선형탄성모델(Linear Elastic Model)을 사용하였다. 또한, 콘크리트블록과 사석의 이질재료의 경계면 거동 및 콘크리트블록과 블록사이의 경계면 거동을 모사하기 위하여 인터페이스요소(Interface Element)를 적용하였다.
인터페이스요소는 수치해석에서 미끄러짐 또는 분리가 발생할 수 있는 이질적 또는 동질적인 재료의 경계면을 모사하기 위한 요소로서, 강도정수는 강도감소계수인 R에 의해 Ci = RxCsoil, tanΦi = R × tanΦsoil로 감소시켜 적용하며 또한 수직강성계수 및 전단강성계수도 함께 고려되는 요소이다.
수치해석에 사용한 콘크리트블록 및 지반물성치는 ○○신항 크루즈부두 확장공사 기본 및 실시설계용역에서 제시한 결과를 이용하여 Table 1과 같이 적용하였다. Linear Elastic Model인 현장타설 콘크리트 말뚝은 문헌에 나와 있는 일반적인 단위중량 및 탄성계수를 적용하였다. 심층혼합처리공(DCM)은 일반적인 복합지반의 치환율을 이용하여 점착력(c) 및 탄성계수(E) 값을 산정하였다. 단주영역은 DCM 치환 94.6% 구간이며, 장주영역은 DCM 치환 32.6~48.1% 구간이다.
3.2 수치해석 모델링
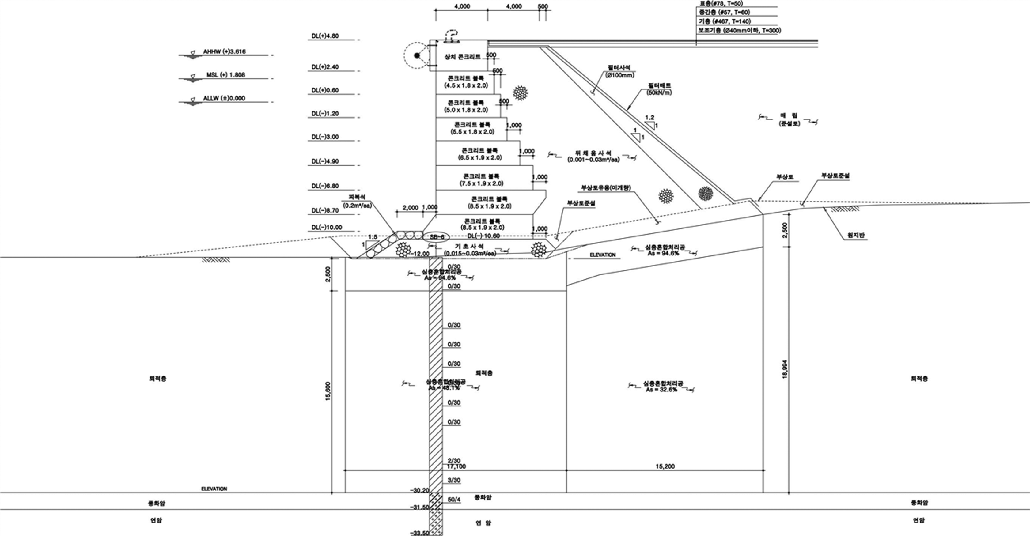
○○신항 크루즈부두 확장공사 기본 및 실시설계용역에서 제시한 안벽공 표준단면도(일반구간, Fig. 3)를 바탕으로 지반을 모델링하였으며, 2차원 수치해석은 Geometry를 생성한 다음 Mesh를 생성하여 해석을 수행하였다. 지반 및 콘크리트블록은 약 2만개의 요소로 이루어진 연속체로 모델링 하였다(Fig. 4). 시공단계는 ○○신항 크루즈부두 확장공사 실시 설계용역에서 제시한 방법과 동일한 시공과정 순으로 해석을 Fig. 4. Modeling used to Numerical Analysis (mesh set). Table 2. Analysis cases Analysis Case Case-1 Case-2 Case-3 Residual Water Head Difference ∆H = 1.205 m ∆H = 1.808 m ∆H = 3.616m Cap Concrete with without with without with without Cast-in-place Pile (ctc 2.0 m) with without with without with without Pile Embedment Depth (H = 1.5 m) (H: Rubble mound Height) 0H~4H 0H~4H 0H~4H 수행하였다. ① 원지반해석, ② 하부지반보강(DCM 치환), ③ 기초사석층 설치, ④ 콘크리트블록설치(현장타설말뚝 + 상치 콘크리트 유·무), ⑤ 뒷채움필터사석층설치, ⑥매립(5단계로 나누어 재하). 수위는 잔류수위차에 해당하는 수두를 안벽배면(매립부)에 지정하여 침투해석의 정상류해석을 수행하였다.
3.3 해석 Case
해석 case는 잔류수위를 기준으로 크게 3개 그룹으로 나누어 검토를 수행하였다. 설계기준에는 블록식 안벽 구조물에서 잔류수위는 “약최저저조위(A.L.L.W)상 조차의 1/3로 하는 것이 바람직하다”(KDS 64 00 00)라고 되어 있으나 본 연구에서는 콘크리트블록 전면(해수측)의 약최저저조위(ALLW) DL(±)0.000을 기준으로 콘크리트블록 배면(매립측)의 잔류수위차를 1) 실시설계에서 제시한 DL(+)1.205 m, 2) 평균해면(MSL)에 해당하는 DL(+)1.808 m, 3) 약최고고조위(AHHW)에 해당하는 DL(+)3.616 m로 나누어 해석을 수행하였다.
각각 잔류수위차 조건에 대하여 상치콘크리트 유·무 및 현장타설말뚝 유·무의 조건을 추가하여 해석을 수행하였다. 세부 해석 case는 Table 2와 같다. 즉 잔류수위차(Case 1~3)를 기준으로 상치콘크리트의 유·무, 말뚝의 유·무, 그리고 말뚝의 근입깊이에 따른 블록식 안벽의 변위 거동을 알아보기 위해서이다.
블록을 지지하는 기초 하부지반의 특성이 블록식 안벽의 거동에 영향을 미치나 안벽 배면 매립에 따른 말뚝의 영향을 중점적으로 보기 위하여 본 연구에서는 하부기초 지반은 지지력과 침하에 충분한 강성을 가진 것으로 가정하였다. 하부 지반의 특성은 DCM 치환이 적합하게 이루어진 것으로 보고 해석을 수행하였다.
3.4 말뚝 근입깊이에 따른 수평변위 해석결과
말뚝유·무에 따른 수치해석결과, 수평변위가 말뚝보강이 없는 상태에서는 6.68~8.13 mm, 말뚝이 보강된 0H(콘크리트블록내근입)에서는 6.48~7.83 mm로 미소하게 감소하였다. 이러한 양상은 말뚝보강이 없는 상태에서는 콘크리트블록이 개별적으로 배면토압 및 잔류수압에 저항하지만, 콘크리트블록내 말뚝이 근입된(0H) 조건에서는 콘크리트블록을 말뚝이 일체화시켜 블록 전체의 일체화 거동으로 인해 수평변위가 감소한 것이다.
상치콘크리트가 없는 조건에서 콘크리트블록 배면(매립측) 잔류수위차를 ∆H = 1.205 m, 1.818 m, 3.616m를 적용한 결과, Fig. 5에서 보는 바와 같이, 콘크리트블록에서 발생하는 최대 수평변위는 말뚝보강이 없는 상태에서는 6.68~7.94 mm, 말뚝이 보강된 0H(콘크리트블록내근입)에서도 6.48~7.41 mm로 미소하게 감소하였다. 1H(1.5 m)에서는 4.25~5.36 mm로 말뚝이 없는 조건과 비교했을 때 수평변위가 큰 폭으로 감소하였고, 2H(3.0m) 조건에서도 수평변위가 3.27~4.25 mm로 다소 큰 폭으로 수평변위가 감소하였다. 3H(4.5 m) 및 4H(6.0 m) 조건에서는 수평변위가 3.12~4.08 mm로 감소폭이 미소하였으며, 수렴하는 양상을 보였다.
Fig. 6 및 Fig. 7은 상치콘크리트가 없는 경우에 대한 종합 결과로, 말뚝보강으로 인한 효과는 말뚝이 없는 조건과 비교하였을 때 1H(1.5 m) 조건에서 가장 큰 변위로 감소폭이 발생하였다. 2H(3.0 m) 조건까지는 수평변위 감소폭이 49~54% 수준으로 컸으나, 이후 3H(4.5 m)~4H(6.0 m) 조건에서는 거의 수렴하는 양상을 보이고 있어, 말뚝보강효율이 떨어지는 것으로 나타났다.
상치콘크리트가 있는 조건에서 콘크리트블록 배면(매립측) 잔류수위차를 ∆H = 1.205 m, 1.818 m, 3.616m를 적용한 결과, 콘크리트블록에 발생하는 최대수평변위는 말뚝보강이 없는 상태에서는 7.07~8.13 mm, 말뚝이 보강된 0H(콘크리트블록내근입)에서도 6.92~7.83 mm로 미소하게 감소하였다. 1H(1.5 m)에서는 4.84~5.91 mm로 말뚝이 없는 조건과 비교했을 때 큰 폭으로 수평변위가 감소하였으며, 2H(3.0 m) 조건에서도 수평변위가 3.80~4.79 mm로 다소 큰 폭으로 수평변위가 감소하였다. 3H(4.5 m) 및 4H(6.0 m) 조건에서는 수평변위가 3.56~4.54 mm로 감소폭이 미소하였으며, 수렴하는 양상을 보인다(Fig. 8).
3.5 말뚝근입깊이에 따른 휨모멘트 해석결과
상치콘크리트가 없는 조건에서 콘크리트블록 배면(매립측) 잔류수위차를 ∆H = 1.205 m, 1.818 m, 3.616m를 적용한 결과, 말뚝에서 발생하는 최대모멘트는 0H(콘크리트블록내근입) 조건에서는 M = 2.98~4.36 kN·m로 미소하게 발생하였다. 1H(1.5 m) 조건에서는 정모멘트 M = 828.65~931.36 KN·m 발생하였으며, 부모멘트 M = 0.00~0.09 kN·m로 매우 미소하게 발생하였다. 2H(3.0 m) 조건에서는 정모멘트 M = 804.37~847.06 kN·m 발생하였으며, 부모멘트 M = 481.24~544.99 kN·m 발생하였다. 3H(4.5 m) 및 4H(6.0 m) 조건에서도 정모멘트 및 부모멘트가 2H(3.0 m) 조건과 유사하게 발생하였다(Fig. 11).
Fig. 12은 상치콘크리트가 없는 경우를 종합한 것으로, 말뚝보강으로 인한 효과는 1H (1.5 m) 조건에서는 정모멘트가 828.65~931.36 kN·m가 발생하였으나, 부모멘트는 발생하지 않는 회전거동을 보였으며, 이후 2H(3.0 m) 조건에서부터는 부모멘트가 481.24~544.99 kN·m가 발생하면서 짧은말뚝(회전거동)이 아닌 중간말뚝(휨거동) 이상의 양상을 보였다.
상치콘크리트가 있는 조건에서 콘크리트블록 배면(매립측) 잔류수위차를 ∆H = 1.205 m, 1.818 m, 3.616 m를 적용한 결과, 말뚝에서 발생하는 최대모멘트는 0H(콘크리트블록내근입)조건에서는 M= 3.24~5.59 kN·m로 미소하게 발생하였다. 1H(1.5 m) 조건에서는 정모멘트 M= 778.18~864.58 kN·m 발생하였으며, 부모멘트 M= 0.03~0.07 kN·m로 매우 미소하게 발생하였다. 2H(3.0 m) 조건에서는 정모멘트 M = 772.32~810.93 kN·m 발생하였으며, 부모멘트 M = 462.12~522.34 kN·m 발생하였다. 3H(4.5 m) 및 4H(6.0 m) 조건에서도 정모멘트 및 부모멘트가 2H(3.0 m) 조건과 유사하게 발생하였다(Fig. 13).
콘크리블록 하부 사석층에 근입되는 1H(1.5 m) 조건에서는 부모멘트가 거의 발생하지 않는 회전거동을 보이고 있으며, 2H(3.0 m) 조건에서부터는 부모멘트가 발생하면서 회전거동이 아닌 휨거동의 양상을 보이고 있다.
Fig. 14는 상치콘크리트가 있는 경우를 종합한 것으로, 말뚝보강으로 인한 효과는 1H(1.5 m) 조건에서는 정모멘트가 778.18~864.58 kN·m가 발생하였으나, 부모멘트는 발생하지 않는 회전거동을 보였으며, 이후 2H(3.0 m) 조건에서부터는 부모멘트가 457.71~522.34 kN·m가 발생하면서 짧은말뚝(회전거동)이 아닌 중간말뚝(휨거동) 이상의 양상을 보였다.
4. 결 론
1) 말뚝이 결합된 블록식 안벽의 수평변위에 대한 수치해석 결과 말뚝의 근입에 따라 수평변위의 억제 효과가 나타나는 것을 확인하였으며, 말뚝이 사석층까지 근입된 경우에서 수평변위 억제 효과가 가장 크게 나타났다.
2) 잔류수위차에 대한 수치해석 결과, 말뚝이 근입되지 않은 조건에서는 잔류수위차가 증가함에 따라 수평변위도 비례적으로 증가하는 것으로 나타났다. 하지만 말뚝이 지반에 근입된 경우 잔류수위차가 증가하더라도 수평변위에 대한 제어가 크게 발휘되었다. 가장 큰 억제 효과는 말뚝이 사석층까지 근입된 경우에 나타났다.
3) 상치콘크리트의 유·무에 대한 검토 결과, 상치콘크리트 유·무에 따른 수평변위는 차이가 거의 없는 것으로 나타났다. 이러한 양상은 수직하중의 증가에 따라 수평저항력도 증가하지만, 이에 따른 하부 사석층의 합력방향으로 추가 변위 발생으로 인해 수평변위에 대한 차이가 미소한 것으로 판단된다.
4) 말뚝의 근입깊이가 사석층까지 근입된 경우 조건에서는 말뚝이 짧은 말뚝에서 보이는 회전 거동을 보이는 것으로 나타났다. 말뚝의 근입깊이가 더 깊어짐에 따라 중간 말뚝의 거동과 같은 휨거동 양상을 보이는 것으로 해석되었다.

